조황관리HOME / 조황관리 / 상세정보

제목 : 홍도대신 안경섬~ 씨알,마릿수 좋아요
등록일 : 2026-02-23
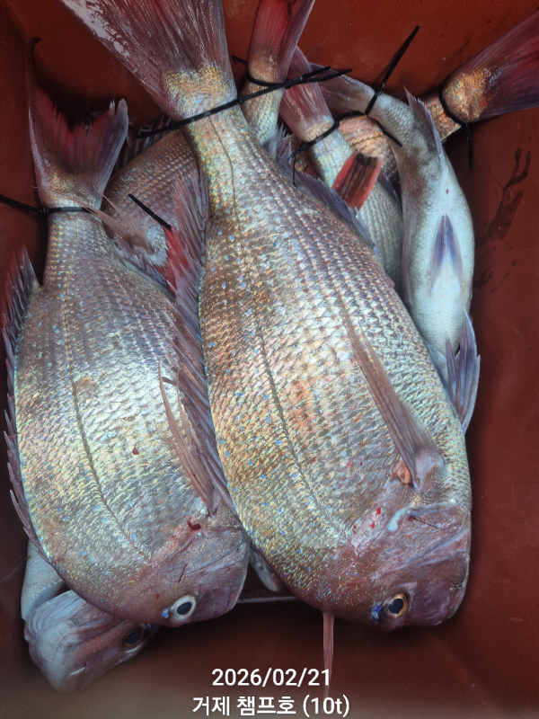
★2/21타이철수조황★
원래 계획은 홍도 마당여였는데...
너울이 심해 안경섬에서 손맛 보고 마무리했습니다.

35~40센치 되는 딱 먹기 좋은 싸이즈...
간혹 5짜도 보였으며
썰물에 잘 되었는데 시울이 많이 날려서 초보분들과 고수의
실력차가 제법 났었네요~



1000033825.jpg


1000033822.jpg


1000033820.jpg


1000033806.jpg


1000033814.jpg


1000033804.jpg


1000033816.jpg


1000033620.jpg


1000033809.jpg

 


*** 거제 챔프호 예약안내 ***

예약문의 : 010-2320-4179
오시는길 : 경남 거제시 사등면 덕호해안길 111
홈페이지 : https://champho.sunsang24.com/


모바일.gif




Top